Millennium Bridge by Qualter Hall
Qualter Hall & Company were the lead MEICA engineering contractor for Scale Lane and Millennium Bridges and designed, built and installed the upgraded replacement drive mechanisms for Hull’s Tidal Barrier between 2008 and 2010.
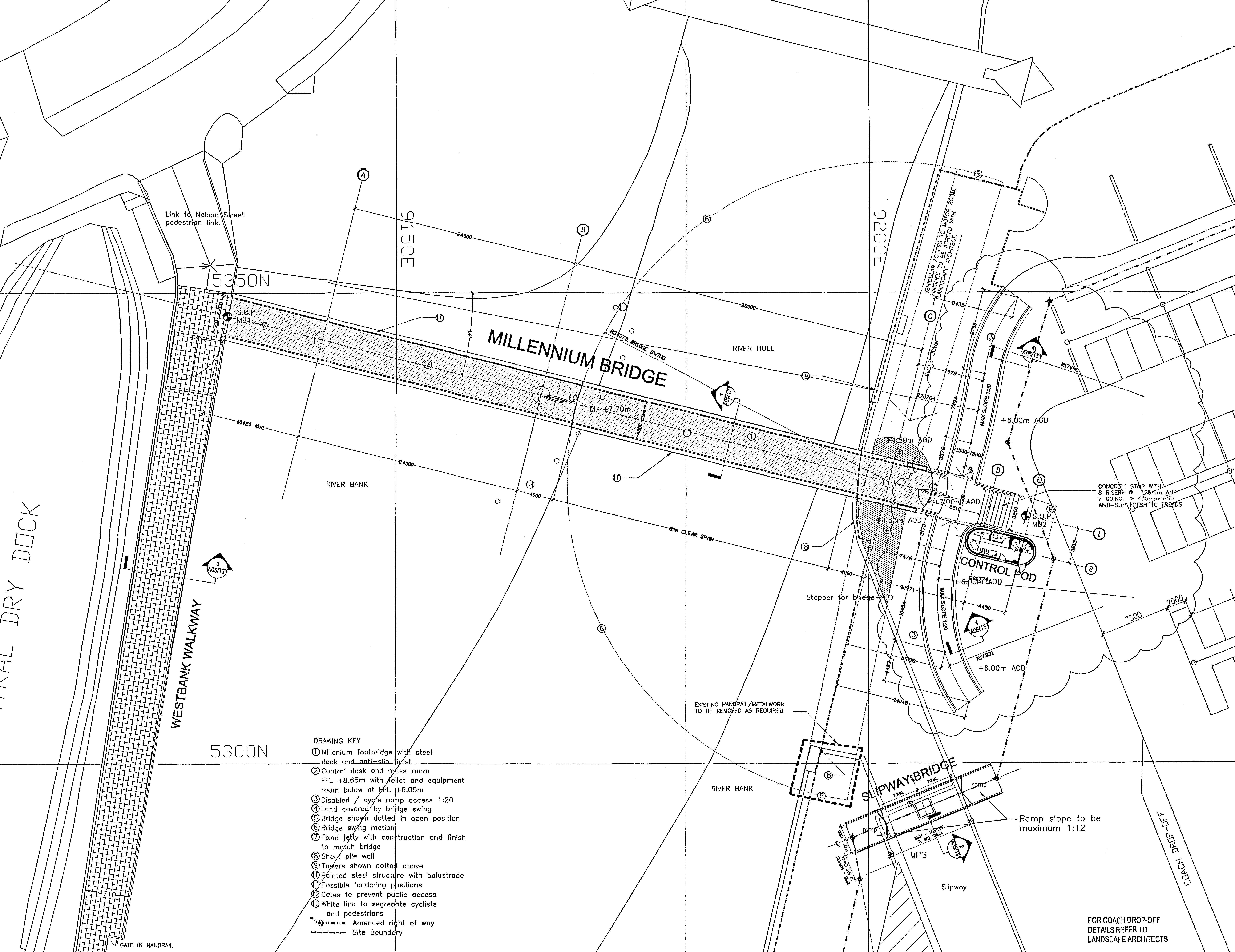
Thanks to George and Lisa at Qualter Hall, who have contributed the plans and technical drawings for Millennium Bridge.
The plans speak for themselves and are further illustrated by photographs taken from the river and following construction and installation.
The links to Qualter Hall’s portfolio are below and provide fascinating insights into the design and construction of our most recent footbridges over the river and the story behind the upgraded drive to the Tidal Barrier. The Millennium Bridge page includes a short film – ‘River Hull Flyover’ – which takes you over Millennium Bridge, through the Tidal Barrier and over Myton Bridge to Scale Lane Bridge.
All plans and drawings are copyright Qualter Hall and are reproduced here with permission.
Millennium Bridge: https://qualterhall.co.uk/portfolio/millennium-footbridge/
Tidal Barrier: https://qualterhall.co.uk/portfolio/hull-tidal-barrier/
Scale Lane: https://qualterhall.co.uk/portfolio/scale-lane-bridge/

Qualter Hall Plan for Construction 12th March 2001


Qualter Hall – Footbridge Plan for Construction January 2001 – Sectional Elevation and Plan on Bridge and the photograph taken from the motor barge Syntan for Open Bridges in 2017


Qualter Hall footbridge plan January 2001 and “early morning mist lingers on the pedestrian bridge traversing the river Hull between South Bridge Road and Nelson Street” April 2008 by Bernard Sharp

Qualter Hall – South Elevation – plan for construction January 2001

Millennium Bridge from the mouth of the River Hull by Mal Scott, 2015

Qualter Hall – West Elevation Section – plan for construction January 2001

Millenium Bridge and HMS Pickle by Graeme Oxby at Open Bridges in 2017

Looking west under MIllennium Bridge taken from the deck of the motor barge Syntan for Open Bridges in 2017
Millenium Bridge is built more or less on the same site as the previous 19th century footbridge – South Bridge – which you can read about in Chapter 20 here: https://openbridgeshull.com/portfolio/20-south-bridge/
If you’ve enjoyed the post, we’d be delighted if you’d subscribe to our blog. It’s free and you can do so by entering your email below:
Rich and Lou Duffy-Howard